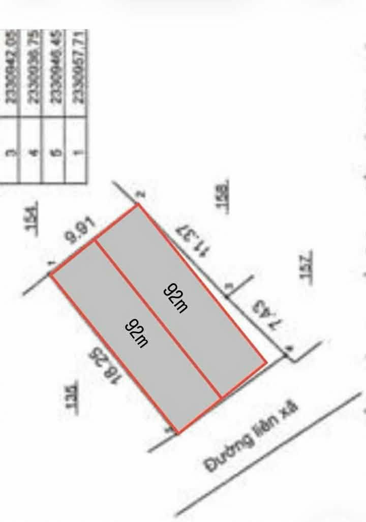
Bán đất nền dự án tại Xã Đức Thượng

Tìm thấy 1 kết quả

0
So sánh