Không tìm thấy tỉnh thành phù hợp
Thử từ khóa khác hoặc kiểm tra chính tả
Hà Nội
Hải Phòng
Hồ Chí Minh
Nghệ An
Đà Nẵng
Quảng Ninh
Tìm thấy 410 kết quả
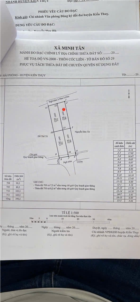
Huyện Kiến Thuỵ, Thành phố Hải Phòng
2 tháng trước
Huyện Kiến Thuỵ, Hải Phòng
Hiển thị 97-120 trên tổng 410 kết quả.