Không tìm thấy tỉnh thành phù hợp
Thử từ khóa khác hoặc kiểm tra chính tả
Hà Nội
Hải Phòng
Hồ Chí Minh
Nghệ An
Đà Nẵng
Quảng Ninh
Tìm thấy 369 kết quả
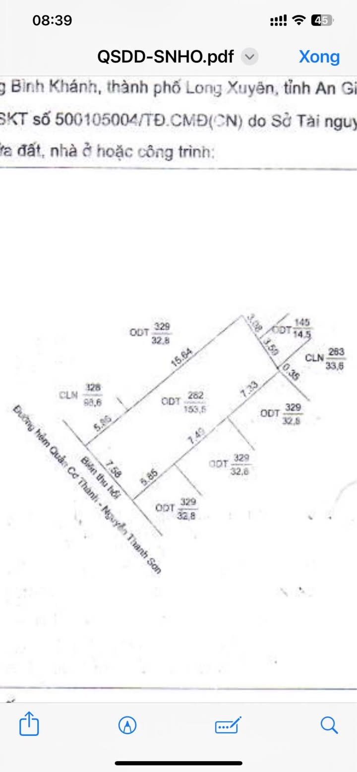
Thành phố Long Xuyên, An Giang
4 tháng trước
Huyện Thoại Sơn, An Giang
Long Xuyên, An Giang
Tịnh Biên, An Giang
Huyện Phú Tân, An Giang
Thị xã Tân Châu, An Giang
Thành phố Châu Đốc, An Giang
Hiển thị 313-336 trên tổng 369 kết quả.