Property main image
5 ảnh
Đã copy mã tin!

Bán Đất Củ Chi 710m² Mặt Tiền Hương Lộ Nhựt Long - Giá 2.35 Tỷ

2.35 tỷ
710 m² - 3 triệu/m²

Xã Bình Mỹ, Huyện Củ Chi, Thành phố Hồ Chí Minh

12 ngày trước
Loại
Bán nhà biệt thự, liền kề
Diện tích
710 m²

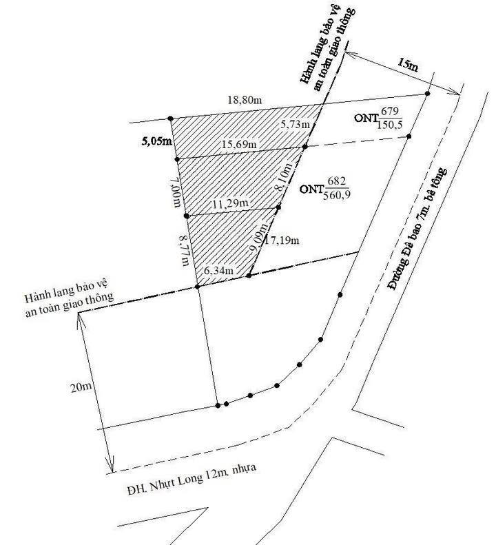
Cơ hội đầu tư sinh lời hoặc an cư lý tưởng với lô đất góc 2 mặt tiền đường nhựa lớn Hương Lộ Nhựt Long, Xã Bình Mỹ, Huyện Củ Chi. Sẵn sàng xây dựng biệt thự vườn trong mơ!

Thông tin chi tiết:

  • Diện tích:710m²
  • Bố trí:Đất thổ cư 100%, đã san lấp, vuông vắn, sẵn sàng xây dựng.
  • Đặc điểm:Lô góc 2 mặt tiền đường nhựa lớn 12m, khu vực dân cư đông đúc, đối diện khu di tích lịch sử, thích hợp xây biệt thự vườn, kinh doanh hoặc đầu tư lâu dài.

Tiện ích xung quanh:

  • Nằm trên mặt tiền đường Hương Lộ Nhựt Long lộ giới 12m, giao thông thuận tiện.
  • Cách bến đò xã Bảy đi Cần Đước chỉ vài phút, kết nối giao thương nhanh chóng.
  • Khu vực dân cư hiện hữu, an ninh tốt, gần các tiện ích thiết yếu.
  • Gần khu di tích lịch sử, tạo không gian sống văn hóa và yên bình.
  • Thuận tiện di chuyển đến các khu vực lân cận và trung tâm thành phố.

Giá và điều kiện:

  • Giá bán/thuê:2.35 tỷ

Phù hợp với ai:

Lô đất lý tưởng cho các nhà đầu tư tìm kiếm cơ hội sinh lời, hoặc những gia đình muốn xây dựng một không gian sống biệt lập, yên tĩnh, gần gũi thiên nhiên nhưng vẫn đảm bảo kết nối giao thông thuận tiện.

Liên hệ:

Sở hữu ngay lô đất vàng Củ Chi với tiềm năng tăng giá vượt trội. Liên hệ ngay để được tư vấn chi tiết và thương lượng giá tốt nhất!

Tổng Kho BĐS luôn sẵn sàng đồng hành cùng bạn trên hành trình tìm kiếm bất động sản phù hợp nhất.

Liên hệ ngay để được chuyên viên tư vấn và hỗ trợ nhanh nhất!

TongkhoBDS.com – Kho dữ liệu Bất động sản lớn nhất Việt Nam

Địa chỉ: 51 Kim Mã, Ba Đình, Hà Nội

Hotline: 1900.988.998

Email: cskh@tongkhobds.com

0
So sánh