Property main image
3 ảnh
Đã copy mã tin!

Bán Đất Đông Lai Hàng, Đông Anh 95m² - Sổ Đỏ Full Thổ Cư, Giá 3 Tỷ

3 tỷ
95 m² - 32 triệu/m²

Huyện Đông Anh, Thành phố Hà Nội

24 ngày trước
Loại
Bán đất
Diện tích
95 m²

Đất Vàng Đông Anh - Cơ Hội Đầu Tư Sinh Lời Vượt Trội!

Lô đất vuông vắn, pháp lý minh bạch ngay tại mặt đường Đông Lai Hàng, Huyện Đông Anh đang chờ đón chủ nhân mới. Cơ hội sở hữu bất động sản tiềm năng với mức giá cực kỳ hấp dẫn.

Thông tin chi tiết:

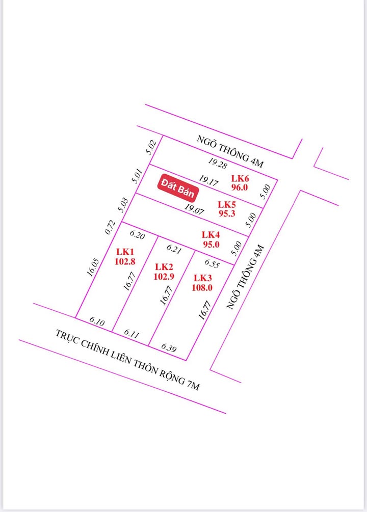
  • Diện tích: 95.3m²
  • Bố trí: Đất vuông vắn, sẵn sàng xây dựng
  • Đặc điểm: Lô đất full thổ cư, mặt đường Đông Lai Hàng rộng rãi, thuận tiện di chuyển. Vị trí đắc địa, tiềm năng tăng giá cao.

Tiện ích xung quanh:

  • Nằm trên trục đường Đông Lai Hàng, kết nối giao thông thuận tiện.
  • Gần các tiện ích công cộng thiết yếu như trường học, chợ dân sinh trong bán kính 2km.
  • Khu vực dân cư đông đúc, an ninh đảm bảo.
  • Thuận tiện di chuyển đến các khu vực lân cận và trung tâm thành phố Hà Nội.
  • Tiềm năng phát triển mạnh mẽ của khu vực Đông Anh trong tương lai.

Giá và điều kiện:

  • Giá bán: 3.2 tỷ

Phù hợp với ai:

Lô đất này là lựa chọn lý tưởng cho các nhà đầu tư đang tìm kiếm cơ hội sinh lời bền vững hoặc những gia đình mong muốn xây dựng tổ ấm tại một khu vực đang phát triển với đầy đủ tiện ích.

Liên hệ:

Sở hữu ngay lô đất vàng tiềm năng này! Liên hệ để biết thêm chi tiết và xem đất trực tiếp.

Tổng Kho BĐS luôn sẵn sàng đồng hành cùng bạn trên hành trình tìm kiếm bất động sản phù hợp nhất.

Liên hệ ngay để được chuyên viên tư vấn và hỗ trợ nhanh nhất!

TongkhoBDS.com – Kho dữ liệu Bất động sản lớn nhất Việt Nam

Địa chỉ: 51 Kim Mã, Ba Đình, Hà Nội

Hotline: 1900.988.998

Email: cskh@tongkhobds.com

0
So sánh