Bán Đất Hóc Môn 121m² - Sổ Đỏ Chính Chủ, Hẻm Xe Hơi 3.99 Tỷ
Xã Thới Tam Thôn, Huyện Hóc Môn, Thành phố Hồ Chí Minh
Bán gấp đất nền vị trí đắc địa tại Hóc Môn, pháp lý minh bạch, sẵn sàng giao dịch!
Cơ hội đầu tư hoặc an cư không thể bỏ lỡ với lô đất vuông vắn, pháp lý rõ ràng tại khu vực đang phát triển mạnh mẽ của Hóc Môn.
Thông tin chi tiết:
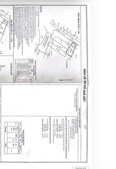
- Diện tích: 121m²
- Bố trí: Đất vuông vắn, dễ dàng bố trí công năng sử dụng.
- Đặc điểm: Hẻm xe hơi thông thoáng, xe có thể di chuyển và đậu trước đất, thuận tiện cho việc xây dựng và sinh hoạt. 80m² thổ cư, sẵn sàng xây dựng.
Tiện ích xung quanh:
- Gần chợ truyền thống Thới Tam Thôn, đáp ứng nhu cầu mua sắm hàng ngày.
- Cách trường Tiểu học Thới Tam Thôn 1 khoảng 800m, thuận tiện cho việc học tập của con em.
- Dễ dàng di chuyển đến Quốc lộ 22, kết nối nhanh chóng đến trung tâm TP.HCM và các tỉnh lân cận.
- Khu dân cư hiện hữu, an ninh tốt, hàng xóm thân thiện.
- Gần các tiện ích công cộng khác như UBND xã, trạm y tế.
Giá và điều kiện:
- Giá bán: 3.99 tỷ (Ba tỷ chín trăm chín mươi triệu đồng)
Phù hợp với ai:
Lô đất này rất phù hợp với các nhà đầu tư đang tìm kiếm cơ hội sinh lời tại khu vực tiềm năng, hoặc các hộ gia đình mong muốn xây dựng tổ ấm riêng với chi phí hợp lý, pháp lý an toàn.
Liên hệ:
Sở hữu ngay lô đất vàng Hóc Môn với giá cực kỳ hấp dẫn! Liên hệ ngay để nhận thông tin chi tiết và xem đất trực tiếp.
Tổng Kho BĐS luôn sẵn sàng đồng hành cùng bạn trên hành trình tìm kiếm bất động sản phù hợp nhất.
Liên hệ ngay để được chuyên viên tư vấn và hỗ trợ nhanh nhất!
TongkhoBDS.com – Kho dữ liệu Bất động sản lớn nhất Việt Nam
Địa chỉ: 51 Kim Mã, Ba Đình, Hà Nội
Hotline: 1900.988.998
Email: cskh@tongkhobds.com
