Tin đăng này đã hết hạn trên tongkhobds.com.

Bạn có thể tham khảo những gợi ý dưới đây hoặc sử dụng công cụ tìm kiếm trên website để tìm những tin đăng mới nhất.

Property main image
13 ảnh
Đã copy mã tin!

Đất mặt tiền 456m² Giga Mall Thủ Đức giá 55 tỷ - Đầu tư sinh lời

55 tỷ
456 m² - 121 triệu/m²

Hiệp Bình Chánh, Thủ Đức, Hồ Chí Minh

7 tháng trước
Loại
Bán đất
Diện tích
456 m²

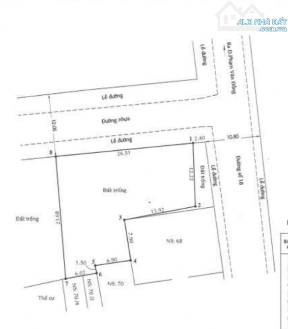
Không gian lý tưởng cho những nhà đầu tư thông minh! Đất mặt tiền 2 mặt đường ngay Giga Mall Thủ Đức, với vị trí đắc địa và tiềm năng phát triển vượt trội.

Thông tin chi tiết:

  • Diện tích: 456m² (12/24m x 29m), công nhận đầy đủ
  • Bố trí: Góc 2 mặt tiền đường rộng 12m, có vỉa hè thoáng đãng
  • Đặc điểm: Mật độ xây dựng 79.2%, cho phép xây tối đa 18 tầng, phù hợp cho các dự án văn phòng, khách sạn, căn hộ dịch vụ và trung tâm y tế.

Tiện ích xung quanh:

  • Gần Giga Mall, thuận tiện cho việc mua sắm và giải trí
  • Gần các trường học, bệnh viện và cơ sở hạ tầng phát triển
  • Dễ dàng di chuyển đến các khu vực lân cận qua tuyến đường lớn
  • Vị trí đắc địa, thu hút nhiều nhà đầu tư và khách hàng

Giá và điều kiện:

  • Giá bán: 55 tỷ VND (có thương lượng)

Phù hợp với ai:

Đây là cơ hội đầu tư lý tưởng cho những ai muốn giữ tài sản, phát triển dự án hoặc kinh doanh đa ngành nghề. Với vị trí đắc địa cùng các tiện ích xung quanh, bất động sản này hứa hẹn mang lại giá trị cao trong tương lai.

Liên hệ:

Đừng bỏ lỡ cơ hội đầu tư hấp dẫn này! Hãy liên hệ ngay để được hỗ trợ pháp lý và quy hoạch nhanh gọn.

Tổng Kho BĐS luôn sẵn sàng đồng hành cùng bạn trên hành trình tìm kiếm bất động sản phù hợp nhất.

Liên hệ ngay để được chuyên viên tư vấn và hỗ trợ nhanh nhất!

TongkhoBDS.com – Kho dữ liệu Bất động sản lớn nhất Việt Nam

Địa chỉ: 51 Kim Mã, Ba Đình, Hà Nội

Hotline: 1900.988.998

Email: cskh@tongkhobds.com

Vị trí

Địa chỉ: 10 Đường Số 18, Phường Hiệp Bình Chánh, Thành phố Thủ Đức, Hồ Chí Minh
Tỉnh/Thành: Hồ Chí Minh
Quận/Huyện: Thủ Đức
Phường/Xã: Hiệp Bình Chánh
0
So sánh