Tin đăng này đã hết hạn trên tongkhobds.com.

Bạn có thể tham khảo những gợi ý dưới đây hoặc sử dụng công cụ tìm kiếm trên website để tìm những tin đăng mới nhất.

Property main image
3 ảnh
Đã copy mã tin!

Đất nền KDC phía Đông Chợ Dinh Mới Nhơn Bình 42.4m² giá 1.85 tỷ - Sổ đỏ chính chủ!

1.85 tỷ
42 m² - 44 triệu/m²

Nhơn Bình, Quy Nhơn, Bình Định

6 tháng trước
Loại
Bán đất nền dự án
Diện tích
42 m²

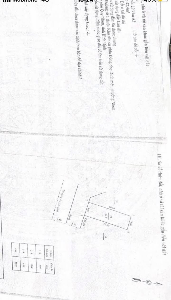
Chào mừng bạn đến với cơ hội sở hữu lô đất nền tuyệt đẹp tại KDC phía Đông Chợ Dinh Mới, phường Nhơn Bình, thành phố Quy Nhơn, tỉnh Bình Định. Lô đất có diện tích 42.4m², với chiều ngang 4m, lộ giới đường 14m, rất phù hợp cho việc xây dựng nhà ở hoặc đầu tư sinh lời.

Thông tin chi tiết:

  • Diện tích: 42.4m²
  • Bố trí: Ngang 4m
  • Đặc điểm: Lô đất nằm trong khu dân cư, lộ giới 14m, pháp lý sổ đỏ chính chủ

Tiện ích xung quanh:

  • Gần chợ Dinh Mới, thuận tiện cho việc mua sắm hàng ngày
  • Cách trường học chỉ vài phút đi bộ, lý tưởng cho gia đình có trẻ em
  • Khu vực phát triển, tiềm năng tăng giá trong tương lai
  • Dễ dàng di chuyển đến các khu vực trung tâm thành phố

Giá và điều kiện:

  • Giá bán: 1.85 tỷ VND

Phù hợp với ai:

Lô đất này rất phù hợp cho các gia đình trẻ muốn xây dựng tổ ấm, hoặc các nhà đầu tư tìm kiếm cơ hội đầu tư sinh lời tại khu vực đang phát triển mạnh mẽ.

Liên hệ:

Đừng bỏ lỡ cơ hội này! Hãy liên hệ ngay để biết thêm chi tiết và đặt lịch xem đất.

Tổng Kho BĐS luôn sẵn sàng đồng hành cùng bạn trên hành trình tìm kiếm bất động sản phù hợp nhất.

Liên hệ ngay để được chuyên viên tư vấn và hỗ trợ nhanh nhất!

TongkhoBDS.com – Kho dữ liệu Bất động sản lớn nhất Việt Nam

Địa chỉ: 51 Kim Mã, Ba Đình, Hà Nội

Hotline: 1900.988.998

Email: cskh@tongkhobds.com

0
So sánh