Property main image
2 ảnh
Đã copy mã tin!

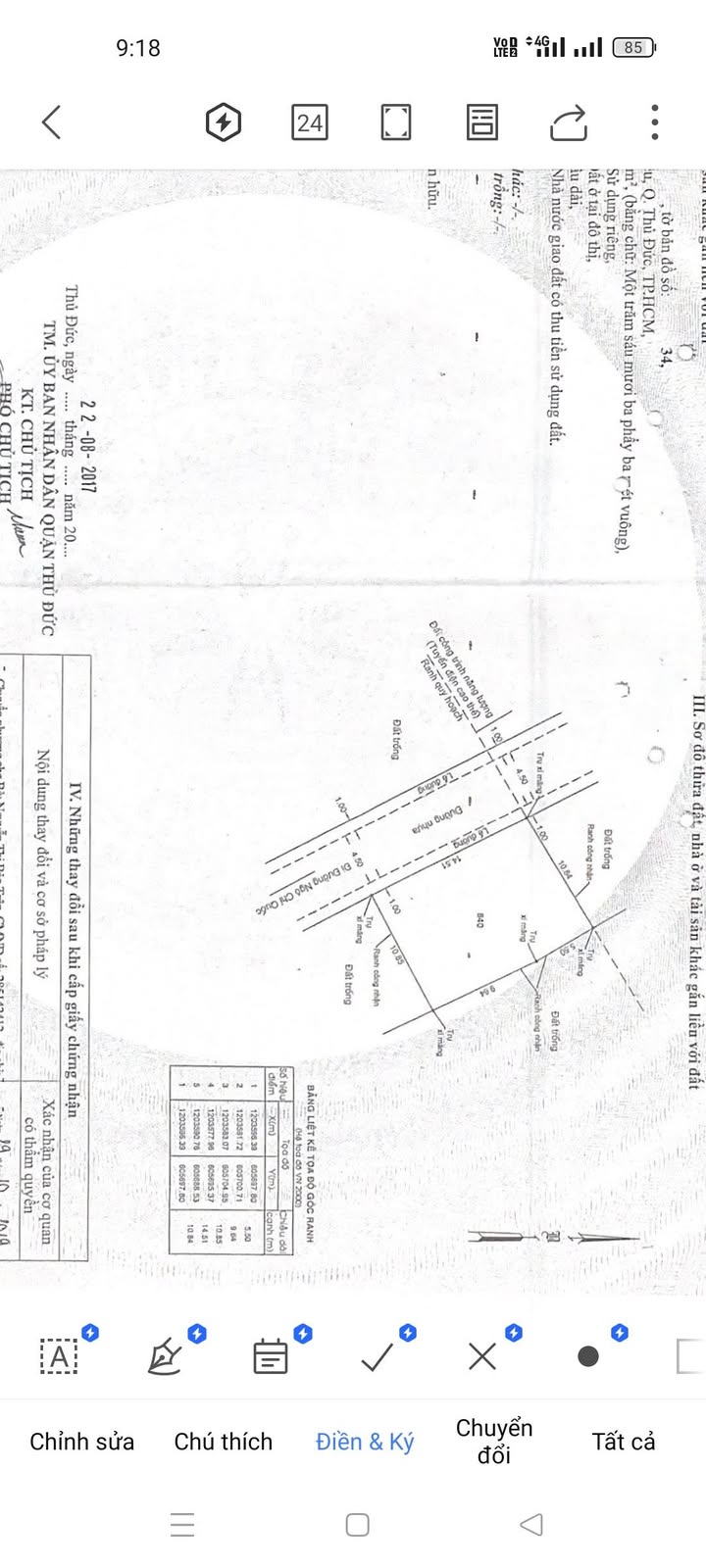
Đất 163m² Ngô Chí Quốc, Thủ Đức - Thổ cư 100%, Chia 3 lô, Giá 7.5 tỷ

7.5 tỷ
163 m² - 46 triệu/m²

Phường Bình Chiểu, Thành phố Thủ Đức, Thành phố Hồ Chí Minh

1 tháng trước
Loại
Bán đất
Diện tích
163 m²

Cơ hội đầu tư sinh lời vàng tại Thủ Đức!

Cần bán gấp lô đất vuông vắn, vị trí đắc địa trên đường Ngô Chí Quốc, Phường Bình Chiểu, Thành phố Thủ Đức. Lô đất cực kỳ tiềm năng, phù hợp cho nhà đầu tư hoặc gia đình muốn xây dựng tổ ấm.

Thông tin chi tiết:

  • Diện tích: 163m²
  • Bố trí: Bề ngang 15m, vuông vắn, dễ dàng phân chia thành 3 lô nhỏ.
  • Đặc điểm: Đất thổ cư 100%, pháp lý minh bạch, sẵn sàng giao dịch.

Tiện ích xung quanh:

  • Cách Chợ Đầu Mối Thủ Đức chỉ vài phút di chuyển, thuận tiện cho việc kinh doanh và sinh hoạt.
  • Gần các tuyến đường huyết mạch kết nối giao thông thuận lợi đi các quận trung tâm và tỉnh lân cận.
  • Khu vực dân cư đông đúc, an ninh tốt, phát triển sầm uất.
  • Xung quanh có đầy đủ tiện ích trường học các cấp, bệnh viện, ngân hàng, siêu thị...
  • Gần các khu công nghiệp lớn, dễ dàng cho thuê hoặc kinh doanh dịch vụ.

Giá và điều kiện:

  • Giá bán: 7.5 tỷ đồng

Phù hợp với ai:

Đây là cơ hội tuyệt vời cho các nhà đầu tư muốn sở hữu bất động sản có khả năng sinh lời cao nhờ tiềm năng chia lô hoặc kinh doanh. Cũng rất phù hợp cho gia đình đang tìm kiếm một nền đất rộng rãi để xây dựng căn nhà mơ ước tại khu vực đang phát triển mạnh của TP. Thủ Đức.

Liên hệ:

Đừng bỏ lỡ cơ hội đầu tư hấp dẫn này! Liên hệ ngay để nhận tư vấn chi tiết và đi xem đất.

Tổng Kho BĐS luôn sẵn sàng đồng hành cùng bạn trên hành trình tìm kiếm bất động sản phù hợp nhất.

Liên hệ ngay để được chuyên viên tư vấn và hỗ trợ nhanh nhất!

TongkhoBDS.com – Kho dữ liệu Bất động sản lớn nhất Việt Nam

Địa chỉ: 51 Kim Mã, Ba Đình, Hà Nội

Hotline: 1900.988.998

Email: cskh@tongkhobds.com

0
So sánh