Property main image
3 ảnh
Đã copy mã tin!

Đất 2 mặt hẻm Bà Điểm Hóc Môn 290m² giá 5 tỷ - Cơ hội đầu tư hiếm có!

5 tỷ
290 m² - 17 triệu/m²

Xã Bà Điểm, Huyện Hóc Môn, Hồ Chí Minh

2 tháng trước
Loại
Bán đất
Diện tích
290 m²

Chào mừng bạn đến với cơ hội sở hữu lô đất 2 mặt hẻm hiếm tại xã Bà Điểm, huyện Hóc Môn. Đây là vị trí lý tưởng cho những ai đang tìm kiếm một nơi an cư hoặc đầu tư với tiềm năng sinh lời cao.

Thông tin chi tiết:

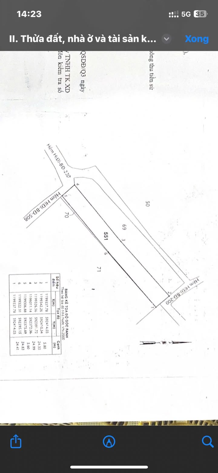
  • Diện tích: 290m² (5,8m x 50m)
  • Bố trí: Đất thổ cư, xây dựng thoải mái
  • Đặc điểm: 2 mặt hẻm trước sau, hẻm rộng, ô tô ra vào dễ dàng

Tiện ích xung quanh:

  • Gần đường Phan Văn Hớn, thuận tiện di chuyển đến các trục đường lớn Nguyễn Thị Sóc và Nguyễn Ảnh Thủ
  • Khu dân cư hiện hữu, an ninh tốt, môi trường sống yên tĩnh
  • Phù hợp cho việc xây căn hộ cho thuê hoặc phòng trọ
  • Cách chợ Bà Điểm chỉ 1km, thuận tiện cho việc mua sắm

Giá và điều kiện:

  • Giá bán: 5 tỷ (thương lượng cho khách thiện chí)

Phù hợp với ai:

Đất phù hợp cho những ai muốn đầu tư sinh lời, xây dựng nhà ở hoặc phòng trọ cho thuê trong khu vực phát triển.

Liên hệ:

Đừng bỏ lỡ cơ hội này! Hãy liên hệ ngay để được tư vấn và xem đất thực tế!

Tổng Kho BĐS luôn sẵn sàng đồng hành cùng bạn trên hành trình tìm kiếm bất động sản phù hợp nhất.

Liên hệ ngay để được chuyên viên tư vấn và hỗ trợ nhanh nhất!

TongkhoBDS.com – Kho dữ liệu Bất động sản lớn nhất Việt Nam

Địa chỉ: 51 Kim Mã, Ba Đình, Hà Nội

Hotline: 1900.988.998

Email: cskh@tongkhobds.com

0
So sánh