Property main image
2 ảnh
Đã copy mã tin!

Đất Góc 2 Mặt Tiền Nguyễn Văn Linh, Phan Thiết - 162m² Giá 6.5 Tỷ

6.5 tỷ
162 m² - 40 triệu/m²

Phường Phú Tài, Thành phố Phan Thiết, Tỉnh Bình Thuận

1 ngày trước
Loại
Bán đất
Diện tích
162 m²

Cơ hội đầu tư vàng tại Phan Thiết! Sở hữu ngay lô đất góc 2 mặt tiền đường nhựa rộng rãi, ngay trung tâm phát triển sầm uất.

Thông tin chi tiết:

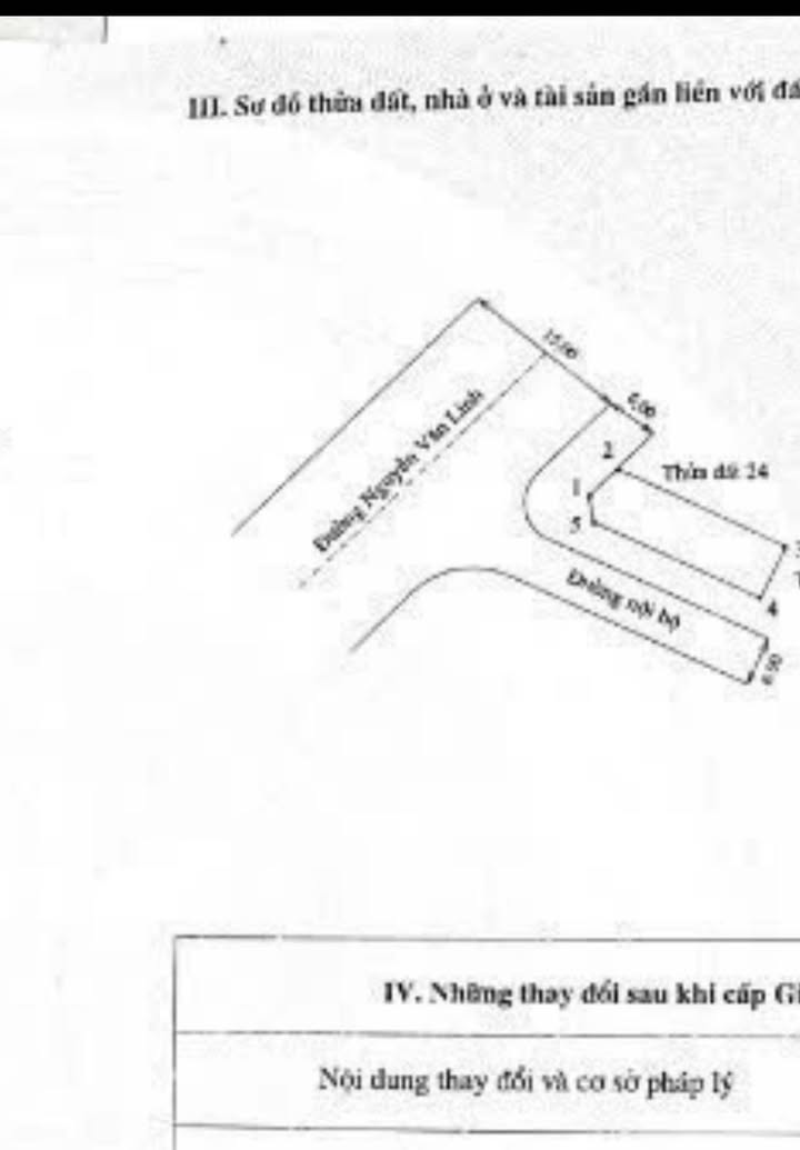
  • Diện tích: 162.2m²
  • Bố trí: Lô góc vuông vắn, ngang 7m, thổ cư 100%
  • Đặc điểm: Hai mặt tiền đường nhựa lớn 15m, vỉa hè 6m. Vị trí cực kỳ thuận lợi, ngay sát Đại lộ Lê Duẩn, dễ dàng di chuyển đến mọi khu vực.

Tiện ích xung quanh:

  • Nằm trên trục đường Nguyễn Văn Linh sầm uất, kết nối giao thông thuận tiện.
  • Gần Đại lộ Lê Duẩn, dễ dàng di chuyển đến trung tâm thành phố và các khu vực lân cận.
  • Xung quanh có đầy đủ tiện ích: các quán ăn ngon, nhà hàng, trường học các cấp, chợ truyền thống và bệnh viện.
  • Khu vực phát triển năng động, tiềm năng kinh doanh đa ngành nghề.

Giá và điều kiện:

  • Giá bán: 6.5 tỷ đồng

Phù hợp với ai:

Lô đất góc 2 mặt tiền lý tưởng cho những ai muốn an cư lạc nghiệp tại Phan Thiết hoặc các nhà đầu tư muốn kinh doanh đa ngành nghề, tận dụng lợi thế vị trí đắc địa.

Liên hệ:

Đừng bỏ lỡ cơ hội sở hữu lô đất vàng này! Liên hệ ngay để được tư vấn chi tiết và xem đất trực tiếp.

Tổng Kho BĐS luôn sẵn sàng đồng hành cùng bạn trên hành trình tìm kiếm bất động sản phù hợp nhất.

Liên hệ ngay để được chuyên viên tư vấn và hỗ trợ nhanh nhất!

TongkhoBDS.com – Kho dữ liệu Bất động sản lớn nhất Việt Nam

Địa chỉ: 51 Kim Mã, Ba Đình, Hà Nội

Hotline: 1900.988.998

Email: cskh@tongkhobds.com

0
So sánh