Property main image
2 ảnh
Đã copy mã tin!

Đất hẻm xe hơi Đường số 9, Thủ Đức 705m² giá 30 tỷ - Đầu tư sinh lời!

30 tỷ
705 m² - 43 triệu/m²

Phường Linh Tây, Thành phố Thủ Đức, Thành phố Hồ Chí Minh

2 tháng trước
Loại
Bán đất
Diện tích
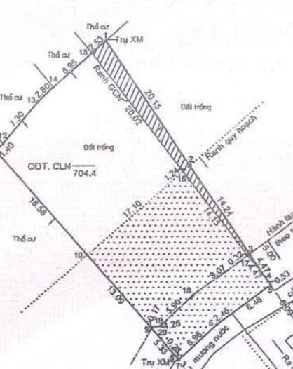
705 m²

Chào mừng bạn đến với cơ hội sở hữu lô đất hẻm xe hơi tuyệt đẹp tại Đường số 9, phường Linh Tây, Thành phố Thủ Đức. Với vị trí đắc địa, cách mặt tiền chỉ 10m, đây là lựa chọn lý tưởng cho những ai muốn xây dựng tổ ấm hoặc đầu tư sinh lời.

Thông tin chi tiết:

  • Diện tích: 705m²
  • Bố trí: Đất có kích thước 15.8m x 27m, phù hợp cho nhiều loại hình xây dựng.
  • Đặc điểm: Hẻm xe hơi tận nơi, thuận tiện di chuyển, không gian yên tĩnh phù hợp cho gia đình.

Tiện ích xung quanh:

  • Gần chợ Thủ Đức, tiện lợi cho việc mua sắm hàng ngày.
  • Cách trường học các cấp chỉ 1km, dễ dàng cho con em đi học.
  • Gần bệnh viện Đa khoa khu vực, đảm bảo an toàn sức khỏe cho gia đình.

Giá và điều kiện:

  • Giá bán: 30 tỷ VND

Phù hợp với ai:

Lô đất này rất thích hợp cho gia đình trẻ muốn xây dựng tổ ấm hoặc nhà đầu tư tìm kiếm cơ hội sinh lời trong tương lai.

Liên hệ:

Đừng bỏ lỡ cơ hội tuyệt vời này, hãy liên hệ ngay để biết thêm thông tin chi tiết và đặt lịch xem đất!

Tổng Kho BĐS luôn sẵn sàng đồng hành cùng bạn trên hành trình tìm kiếm bất động sản phù hợp nhất.

Liên hệ ngay để được chuyên viên tư vấn và hỗ trợ nhanh nhất!

TongkhoBDS.com – Kho dữ liệu Bất động sản lớn nhất Việt Nam

Địa chỉ: 51 Kim Mã, Ba Đình, Hà Nội

Hotline: 1900.988.998

Email: cskh@tongkhobds.com

0
So sánh