Property main image
2 ảnh
Đã copy mã tin!

Đất mặt biển Tam Tiến 252m² giá 2.2 tỷ - Cơ hội đầu tư sinh lời!

2.2 tỷ
252 m² - 9 triệu/m²

Xã Tam Tiến, Huyện Núi Thành, Quảng Nam

2 tháng trước
Loại
Bán đất
Diện tích
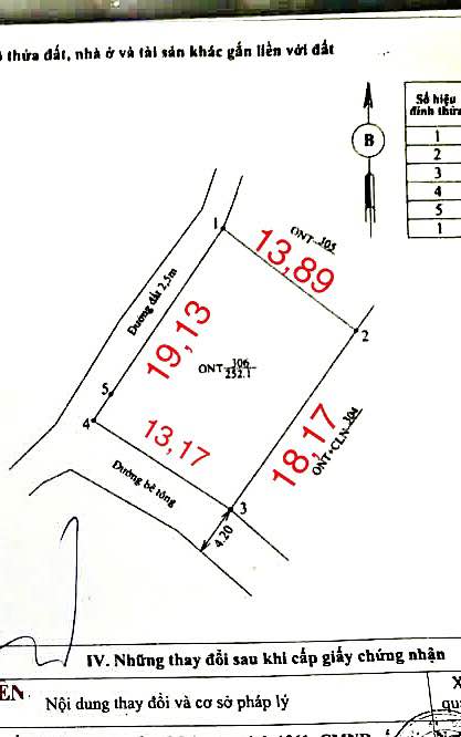
252 m²

Nhận cơ hội vàng đầu tư với lô đất mặt biển Tam Tiến rộng 252m², tọa lạc tại vị trí đắc địa. Đây là lựa chọn lý tưởng cho những ai đang tìm kiếm một nơi để phát triển villa, nhà hàng hoặc homestay trong tương lai gần.

Thông tin chi tiết:

  • Diện tích: 252m²
  • Bố trí: Lô góc, đất ở toàn bộ
  • Đặc điểm: Mặt biển, vị trí thuận lợi cho việc kinh doanh

Tiện ích xung quanh:

  • Gần bãi biển Tam Tiến, thuận tiện cho du lịch và nghỉ dưỡng
  • Cách trung tâm xã chỉ 1km, dễ dàng tiếp cận các dịch vụ cần thiết
  • Gần các khu resort và dự án nghỉ dưỡng lớn, tiềm năng cho thuê cao

Giá và điều kiện:

  • Giá bán: 2.2 tỷ VND

Phù hợp với ai:

Lô đất này rất phù hợp cho các nhà đầu tư muốn phát triển dự án bất động sản, villa, hoặc nhà hàng, tận dụng vị trí đắc địa gần biển để thu hút khách du lịch.

Liên hệ:

Hãy nhanh tay liên hệ để không bỏ lỡ cơ hội đầu tư hấp dẫn này!

Tổng Kho BĐS luôn sẵn sàng đồng hành cùng bạn trên hành trình tìm kiếm bất động sản phù hợp nhất.

Liên hệ ngay để được chuyên viên tư vấn và hỗ trợ nhanh nhất!

TongkhoBDS.com – Kho dữ liệu Bất động sản lớn nhất Việt Nam

Địa chỉ: 51 Kim Mã, Ba Đình, Hà Nội

Hotline: 1900.988.998

Email: cskh@tongkhobds.com

0
So sánh