1 ảnh
Đã copy mã tin!
- Trang chủ
- Mua Bán
- Bán đất
- Thành phố Hải Phòng
- Quận Hồng Bàng
Đất nền 220m² mặt đường An Trì, Hồng Bàng - Đầu tư sinh lời
2.200 tỷ
220 m² - 10 triệu/m²
Quận Hồng Bàng, Thành phố Hải Phòng
8 ngày trước
Loại
Bán đất
Diện tích
220 m²
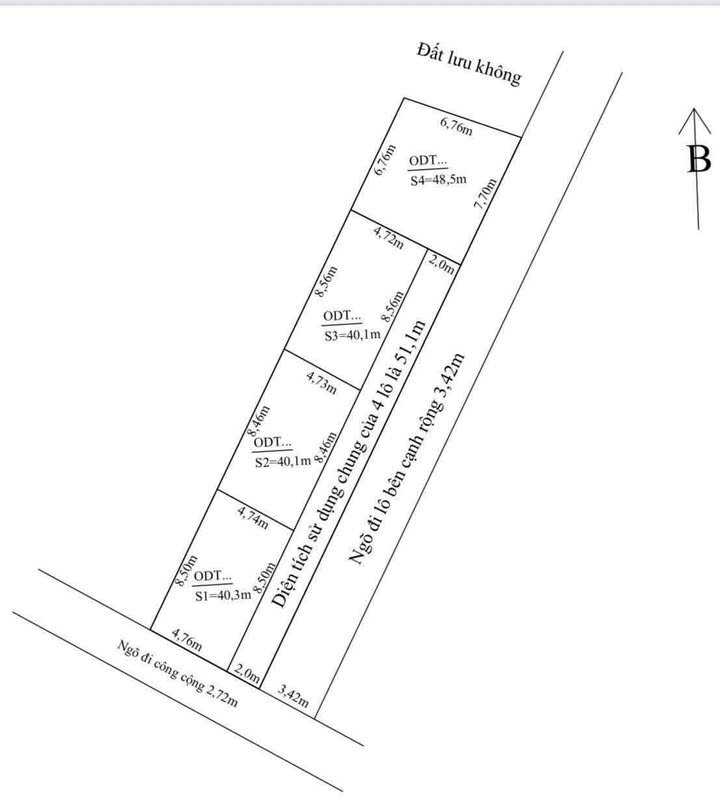
Cơ hội đầu tư hấp dẫn: Sở hữu ngay lô đất mặt đường thông thoáng, vị trí đắc địa tại Quận Hồng Bàng, Hải Phòng!
Thông tin chi tiết:
- Diện tích: 220m²
- Bố trí: Lô đất vuông vắn, đã được chia thành 4 nền tiềm năng, sẵn sàng để xây dựng.
- Đặc điểm: Mặt tiền đường rộng, thông thoáng, kết nối giao thông thuận tiện, đặc biệt thông ra đình An Trì. Khu vực dân cư đông đúc, kinh doanh sầm uất.
Tiện ích xung quanh:
- Nằm trên trục đường thông ra đình An Trì, kết nối dễ dàng đến các tuyến đường chính của Quận Hồng Bàng.
- Gần các tiện ích công cộng như trường học, chợ dân sinh, đáp ứng nhu cầu sinh hoạt hàng ngày.
- Khu vực phát triển năng động, thuận lợi cho việc kinh doanh, buôn bán hoặc cho thuê.
- Dễ dàng di chuyển đến trung tâm thành phố Hải Phòng và các khu vực lân cận.
Giá và điều kiện:
- Giá bán: 2.2 tỷ (tương đương 10 triệu/m²)
Phù hợp với ai:
Đây là cơ hội tuyệt vời cho các nhà đầu tư muốn tìm kiếm lô đất có vị trí đẹp, tiềm năng tăng giá cao hoặc các gia đình muốn xây dựng tổ ấm tại khu vực sầm uất, tiện nghi.
Liên hệ:
Đừng bỏ lỡ cơ hội đầu tư sinh lời vượt trội này! Liên hệ ngay để nhận tư vấn chi tiết và xem đất trực tiếp.
Tổng Kho BĐS luôn sẵn sàng đồng hành cùng bạn trên hành trình tìm kiếm bất động sản phù hợp nhất.
Liên hệ ngay để được chuyên viên tư vấn và hỗ trợ nhanh nhất!
TongkhoBDS.com – Kho dữ liệu Bất động sản lớn nhất Việt Nam
Địa chỉ: 51 Kim Mã, Ba Đình, Hà Nội
Hotline: 1900.988.998
Email: cskh@tongkhobds.com