Property main image
6 ảnh
Đã copy mã tin!

Đất nền An Phú Đông 62m² giá 3.98 tỷ - Sổ đỏ chính chủ

3.98 tỷ
62 m² - 64 triệu/m²

An Phú Đông, 12, Hồ Chí Minh

4 tháng trước
Loại
Bán đất
Diện tích
62 m²

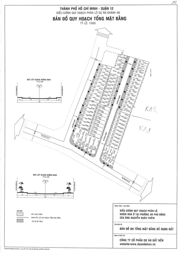
Cơ hội đầu tư hấp dẫn với 2 lô đất tại phường An Phú Đông, Quận 12, Hồ Chí Minh. Với diện tích 62m², giá chỉ 3.98 tỷ, bạn sẽ sở hữu một vị trí lý tưởng để xây dựng tổ ấm hoặc đầu tư sinh lời trong tương lai.

Thông tin chi tiết:

  • Diện tích: 62m²
  • Đặc điểm: Sổ đỏ chính chủ, pháp lý rõ ràng

Tiện ích xung quanh:

  • Gần Tu Viện Khánh An, tạo không gian yên tĩnh và thanh bình
  • Cách trung tâm Quận 12 chỉ 15 phút di chuyển bằng xe máy
  • Tiếp giáp với các khu vực phát triển, thuận lợi cho việc đầu tư
  • Gần các tiện ích như chợ, trường học và bệnh viện

Giá và điều kiện:

  • Giá bán: 3.98 tỷ VND

Phù hợp với ai:

Vị trí này rất phù hợp cho những ai đang tìm kiếm một lô đất để xây dựng nhà ở hoặc đầu tư sinh lợi trong tương lai, đặc biệt cho những gia đình trẻ.

Liên hệ:

Đừng bỏ lỡ cơ hội này, hãy liên hệ ngay để nhận sổ đỏ và thông tin chi tiết!

Tổng Kho BĐS luôn sẵn sàng đồng hành cùng bạn trên hành trình tìm kiếm bất động sản phù hợp nhất.

Liên hệ ngay để được chuyên viên tư vấn và hỗ trợ nhanh nhất!

TongkhoBDS.com – Kho dữ liệu Bất động sản lớn nhất Việt Nam

Địa chỉ: 51 Kim Mã, Ba Đình, Hà Nội

Hotline: 1900.988.998

Email: cskh@tongkhobds.com

0
So sánh