Property main image
5 ảnh
Đã copy mã tin!

Đất nền Củ Chi 2224m² giá 10 tỷ - Vị trí đắc địa góc 2 mặt tiền!

10 tỷ
2224 m² - 4 triệu/m²

Nhuận Đức, Củ Chi, Hồ Chí Minh

5 tháng trước
Loại
Bán đất
Diện tích
2224 m²

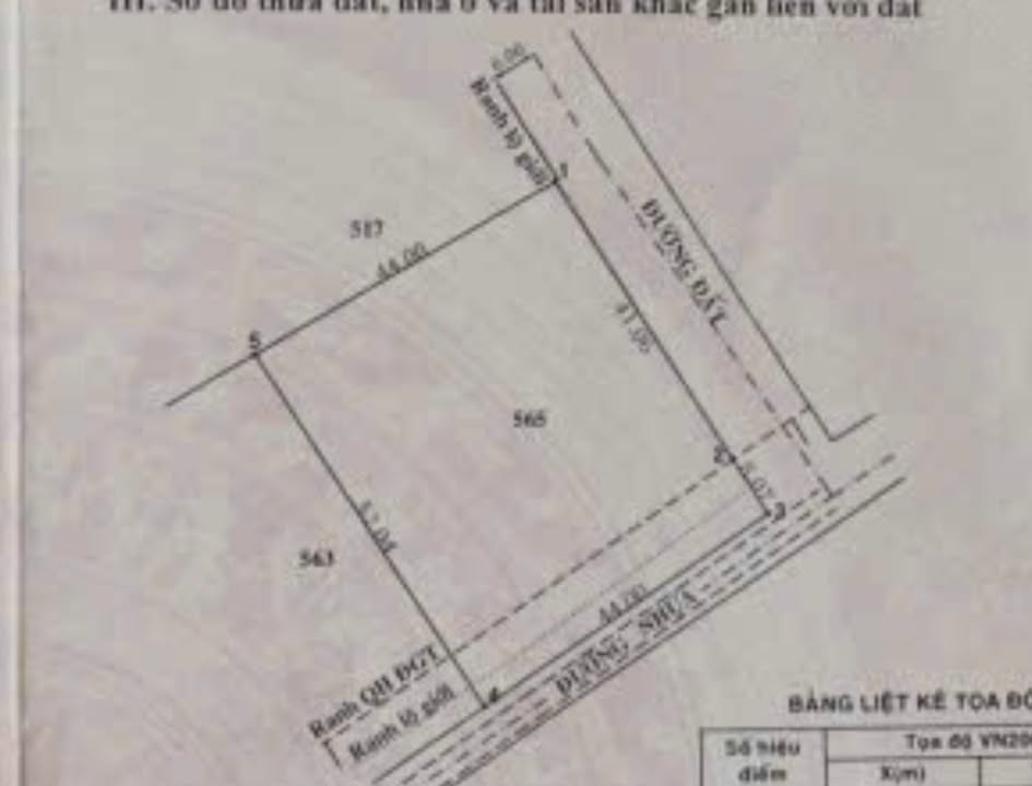
Chào mừng bạn đến với cơ hội sở hữu lô đất vàng tại Củ Chi! Với diện tích lên đến 2224m², lô đất này có vị trí đẹp, vuông vức và góc 2 mặt tiền đường 499, đang trong khu vực phát triển mạnh với nhiều tiện ích xung quanh.

Thông tin chi tiết:

  • Diện tích: 2224m²
  • Bố trí: 50x44m, thổ cư 500m²
  • Đặc điểm: Lô đất nằm ngay khu Trung tâm Giáo dục Quốc phòng đang xây dựng, phù hợp cho các dự án đầu tư hoặc xây dựng nhà ở.

Tiện ích xung quanh:

  • Gần Khu Trung tâm Giáo dục Quốc phòng, thuận tiện cho việc học tập và đào tạo.
  • Hệ thống giao thông phát triển, dễ dàng di chuyển vào trung tâm thành phố Hồ Chí Minh.
  • Nằm trong khu dân cư đông đúc, tiềm năng tăng giá cao trong tương lai.
  • Gần các dịch vụ tiện ích như siêu thị, chợ, bệnh viện và trường học.

Giá và điều kiện:

  • Giá bán: 10 tỷ VND

Phù hợp với ai:

Lô đất này rất phù hợp cho những ai đang tìm kiếm một cơ hội đầu tư sinh lời hoặc xây dựng nhà ở tại khu vực đang phát triển mạnh mẽ của Củ Chi.

Liên hệ:

Đừng bỏ lỡ cơ hội này! Hãy liên hệ ngay để được tư vấn và xem đất thực tế!

Tổng Kho BĐS luôn sẵn sàng đồng hành cùng bạn trên hành trình tìm kiếm bất động sản phù hợp nhất.

Liên hệ ngay để được chuyên viên tư vấn và hỗ trợ nhanh nhất!

TongkhoBDS.com – Kho dữ liệu Bất động sản lớn nhất Việt Nam

Địa chỉ: 51 Kim Mã, Ba Đình, Hà Nội

Hotline: 1900.988.998

Email: cskh@tongkhobds.com

0
So sánh