Tin đăng này đã hết hạn trên tongkhobds.com.

Bạn có thể tham khảo những gợi ý dưới đây hoặc sử dụng công cụ tìm kiếm trên website để tìm những tin đăng mới nhất.

Property main image
2 ảnh
Đã copy mã tin!

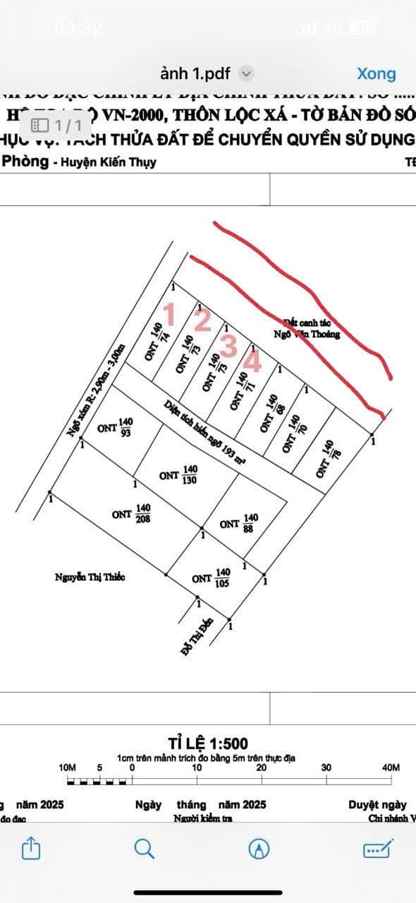
Đất nền Đoàn Xá, Kiến Thụy 73m² giá 1.3 tỷ - Cơ hội đầu tư hấp dẫn!

1.3 tỷ
73 m² - 18 triệu/m²

Đoàn Xá, Kiến Thụy, Hải Phòng

6 tháng trước
Loại
Bán đất
Diện tích
73 m²

Chào mừng bạn đến với cơ hội đầu tư đất nền hấp dẫn tại Đoàn Xá, Kiến Thụy, Hải Phòng. Với vị trí đắc địa nằm gần "CẢNG NAM ĐỒ SƠN", lô đất này chắc chắn sẽ là lựa chọn lý tưởng cho các nhà đầu tư thông thái!

Thông tin chi tiết:

  • Diện tích: 73m² (Ngang 5,2m)
  • Bố trí: Đất nằm trên tuyến 2 đường thôn, đường vào lô đất 3m
  • Đặc điểm: Vị trí không bị quy hoạch, tiềm năng sinh lời cao cho các nhà đầu tư

Tiện ích xung quanh:

  • Gần "CẢNG NAM ĐỒ SƠN" với nhiều dự án phát triển hạ tầng
  • Thuận tiện giao thông kết nối với trung tâm huyện Kiến Thụy
  • Xung quanh có nhiều tiện ích như chợ, trường học và bệnh viện
  • Đường lớn, dễ dàng di chuyển bằng ô tô và xe máy

Giá và điều kiện:

  • Giá bán: 1.3 tỷ VND

Phù hợp với ai:

Cơ hội này đặc biệt phù hợp với các nhà đầu tư tìm kiếm tiềm năng sinh lời trong tương lai hoặc các cá nhân muốn sở hữu đất nền tại khu vực phát triển nhanh chóng.

Liên hệ:

Đừng bỏ lỡ cơ hội này! Hãy liên hệ ngay để được tư vấn và biết thêm chi tiết về sản phẩm này!

Tổng Kho BĐS luôn sẵn sàng đồng hành cùng bạn trên hành trình tìm kiếm bất động sản phù hợp nhất.

Liên hệ ngay để được chuyên viên tư vấn và hỗ trợ nhanh nhất!

TongkhoBDS.com – Kho dữ liệu Bất động sản lớn nhất Việt Nam

Địa chỉ: 51 Kim Mã, Ba Đình, Hà Nội

Hotline: 1900.988.998

Email: cskh@tongkhobds.com

0
So sánh