Property main image
4 ảnh
Đã copy mã tin!

Đất nền hẻm Lê Đình Cẩn, Bình Tân 84m² giá 4.6 tỷ - Cơ hội đầu tư hấp dẫn!

4.6 tỷ
84 m² - 55 triệu/m²

Phường Tân Tạo, Quận Bình Tân, Hồ Chí Minh

3 tháng trước
Loại
Bán đất
Diện tích
84 m²

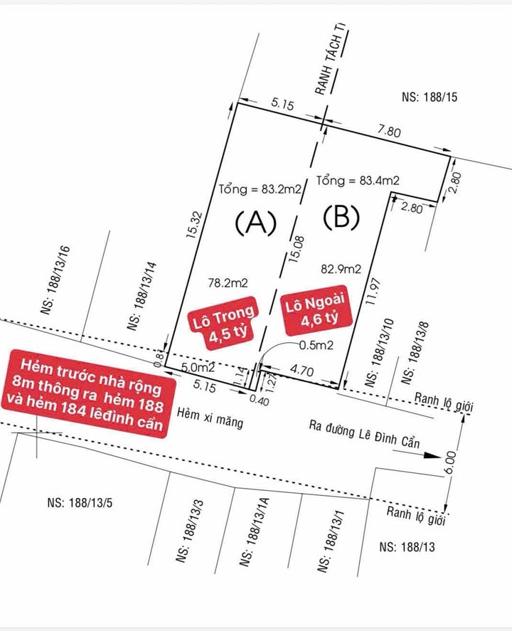
Chào mừng bạn đến với cơ hội đầu tư tuyệt vời tại khu vực Bình Tân! Chúng tôi xin giới thiệu 2 lô đất nằm trong hẻm 188, Lê Đình Cẩn với diện tích 84m², nở hậu 7m, thích hợp để xây dựng nhà ở hoặc đầu tư sinh lời.

Thông tin chi tiết:

  • Diện tích: 84m²
  • Bố trí: Nở hậu 7m, hiện trạng đất ODT
  • Đặc điểm: Hẻm thông ra 184 Lê Đình Cẩn, dễ dàng di chuyển và có không gian thoáng đãng.

Tiện ích xung quanh:

  • Gần các trường học, thuận tiện cho việc học tập của trẻ em
  • Cách chợ và siêu thị chỉ vài phút đi xe, dễ dàng mua sắm hàng ngày
  • Giao thông thuận lợi, gần các tuyến đường chính, dễ dàng di chuyển vào trung tâm thành phố
  • Khu vực an ninh, dân trí cao, phù hợp cho cả gia đình và đầu tư

Giá và điều kiện:

  • Giá bán: 4.6 tỷ VND (thương lượng)

Phù hợp với ai:

Đất phù hợp cho những ai đang tìm kiếm một nơi an cư lạc nghiệp hoặc muốn đầu tư vào bất động sản với tiềm năng tăng giá cao trong tương lai.

Liên hệ:

Nhanh tay liên hệ để không bỏ lỡ cơ hội này! Chúng tôi luôn sẵn sàng hỗ trợ bạn.

Tổng Kho BĐS luôn sẵn sàng đồng hành cùng bạn trên hành trình tìm kiếm bất động sản phù hợp nhất.

Liên hệ ngay để được chuyên viên tư vấn và hỗ trợ nhanh nhất!

TongkhoBDS.com – Kho dữ liệu Bất động sản lớn nhất Việt Nam

Địa chỉ: 51 Kim Mã, Ba Đình, Hà Nội

Hotline: 1900.988.998

Email: cskh@tongkhobds.com

0
So sánh