Property main image
2 ảnh
Đã copy mã tin!

Đất nền Hóc Môn 132m² giá 3.5 tỷ - Cơ hội đầu tư sinh lời!

3.5 tỷ
132 m² - 27 triệu/m²

Thị trấn Hóc Môn, Huyện Hóc Môn, Thành phố Hồ Chí Minh

1 tháng trước
Loại
Bán đất
Diện tích
132 m²

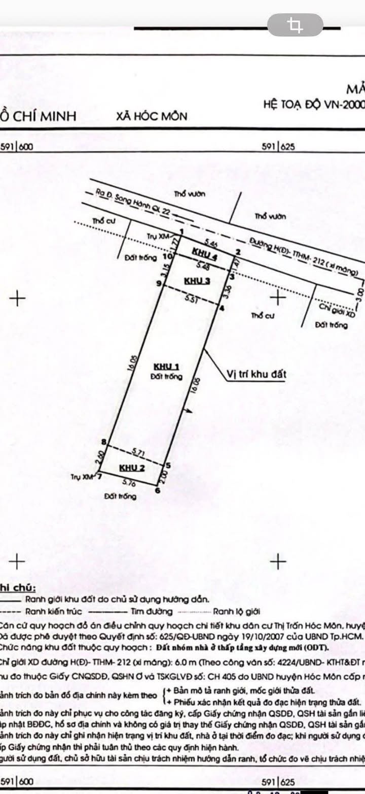
Chúng tôi xin giới thiệu lô đất nền đẹp tại Thị trấn Hóc Môn, phù hợp cho những ai đang tìm kiếm cơ hội đầu tư sinh lời. Với diện tích 132m², lô đất có mặt tiền 5m5, nở hậu 5m8, nằm trong hẻm 3m sạch sẽ và thoáng mát. Khu dân cư hiện hữu, cho phép xây dựng tự do, tạo điều kiện thuận lợi cho các dự án kinh doanh.

Thông tin chi tiết:

  • Diện tích: 132m²
  • Bố trí: Mặt tiền 5m5, nở hậu 5m8
  • Đặc điểm: Hẻm 3m đẹp, khu dân cư hiện hữu, xây dựng tự do

Tiện ích xung quanh:

  • Gần chợ Hóc Môn, thuận tiện mua sắm hàng ngày
  • Cách trường học và các cơ sở giáo dục chỉ 1-2km
  • Dễ dàng di chuyển đến các khu công nghiệp lớn trong khu vực
  • Hệ thống giao thông kết nối thuận lợi, gần trục đường chính

Giá và điều kiện:

  • Giá bán: 3.5 tỷ

Phù hợp với ai:

Lô đất này đặc biệt phù hợp cho các nhà đầu tư hoặc những gia đình mong muốn xây dựng tổ ấm trong một khu vực phát triển, văn minh.

Liên hệ:

Đừng bỏ lỡ cơ hội sở hữu lô đất tuyệt vời này! Hãy liên hệ ngay để biết thêm chi tiết và sắp xếp xem đất!

Tổng Kho BĐS luôn sẵn sàng đồng hành cùng bạn trên hành trình tìm kiếm bất động sản phù hợp nhất.

Liên hệ ngay để được chuyên viên tư vấn và hỗ trợ nhanh nhất!

TongkhoBDS.com – Kho dữ liệu Bất động sản lớn nhất Việt Nam

Địa chỉ: 51 Kim Mã, Ba Đình, Hà Nội

Hotline: 1900.988.998

Email: cskh@tongkhobds.com

0
So sánh