Property main image
5 ảnh
Đã copy mã tin!

Đất nền Khu QUANG HÙNG Quận 12 80m² 4.5 tỷ - Sổ đỏ chính chủ!

4.5 tỷ
80 m² - 56 triệu/m²

Phường 12, Quận 5, Thành phố Hồ Chí Minh

28 ngày trước
Loại
Bán đất
Diện tích
80 m²

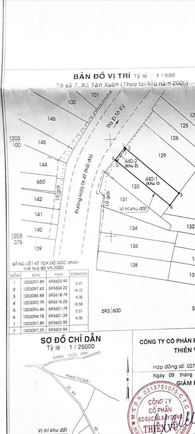
Tìm kiếm một mảnh đất vàng để xây dựng tổ ấm mơ ước hoặc đầu tư sinh lời tại khu vực sầm uất Quận 12? Đừng bỏ lỡ cơ hội sở hữu lô đất nền vuông vức, pháp lý minh bạch tại Khu QUANG HÙNG, nơi hội tụ đầy đủ tiện ích và tiềm năng phát triển vượt trội.

Thông tin chi tiết:

  • Diện tích:80m² (4m x 20m)
  • Bố trí:Đất nền vuông vức, mặt tiền 4m, chiều sâu 20m, rất lý tưởng để xây dựng nhà phố theo phong cách riêng, tối ưu công năng sử dụng.
  • Đặc điểm:Sổ hồng riêng chính chủ, pháp lý hoàn chỉnh, sẵn sàng công chứng sang tên ngay. Đường trước nhà rộng 6m, ô tô ra vào thoải mái, thông thẳng ra các trục đường lớn như Tô Ký, Nguyễn Ảnh Thủ. Khu dân cư đồng bộ, quy hoạch đẹp, dân trí cao, an ninh đảm bảo.

Tiện ích xung quanh:

  • Gần trục đường Tô Ký và Nguyễn Ảnh Thủ, thuận tiện di chuyển đến các quận trung tâm và khu vực lân cận.
  • Cách Bệnh viện Đa khoa Quận 12 chỉ vài phút đi xe, đảm bảo tiện nghi y tế chất lượng cao.
  • Nằm gần các trường học các cấp như THCS Nguyễn Ảnh Thủ, THPT Tô Ký, thuận lợi cho việc học tập của con em.
  • Dễ dàng tiếp cận các chợ truyền thống như Chợ Tân Chánh Hiệp, đáp ứng mọi nhu cầu mua sắm hàng ngày.
  • Khu vực có nhiều cửa hàng tiện lợi, siêu thị mini, ngân hàng và đa dạng các dịch vụ ăn uống, giải trí.
  • Cách Công viên Phần mềm Quang Trung không xa, tạo điều kiện làm việc và học tập lý tưởng.

Giá và điều kiện:

  • Giá bán/thuê:4.5 tỷ VND

Phù hợp với ai:

Lô đất phù hợp với các gia đình trẻ muốn xây dựng tổ ấm theo sở thích cá nhân, các nhà đầu tư tìm kiếm bất động sản có tiềm năng tăng giá bền vững trong tương lai, hoặc những ai mong muốn một không gian sống yên bình, văn minh nhưng vẫn đảm bảo kết nối thuận tiện.

Liên hệ:

Đừng bỏ lỡ cơ hội vàng để sở hữu mảnh đất đầy tiềm năng này. Hãy liên hệ ngay hôm nay để nhận được sự tư vấn chuyên nghiệp và sắp xếp lịch xem đất thực tế!

Tổng Kho BĐS luôn sẵn sàng đồng hành cùng bạn trên hành trình tìm kiếm bất động sản phù hợp nhất.

Liên hệ ngay để được chuyên viên tư vấn và hỗ trợ nhanh nhất!

TongkhoBDS.com – Kho dữ liệu Bất động sản lớn nhất Việt Nam

Địa chỉ: 51 Kim Mã, Ba Đình, Hà Nội

Hotline: 1900.988.998

Email: cskh@tongkhobds.com

0
So sánh