Property main image
4 ảnh
Đã copy mã tin!

Đất Nền Lục Ngạn 251-293m² - Vị Trí Vàng, Sổ Hồng Sẵn Sàng

980 triệu – 1,130 tỷ / lô
1914 m² - 512 triệu/m²

Thị trấn Chũ, Huyện Lục Ngạn, Tỉnh Bắc Giang

10 ngày trước
Loại
Bán đất nền dự án
Diện tích
1914 m²

Cơ hội đầu tư sinh lời vượt trội với lô đất nền tại Huyện Lục Ngạn, Tỉnh Bắc Giang - vị trí đắc địa, tiềm năng tăng giá mạnh mẽ sau quy hoạch!

Thông tin chi tiết:

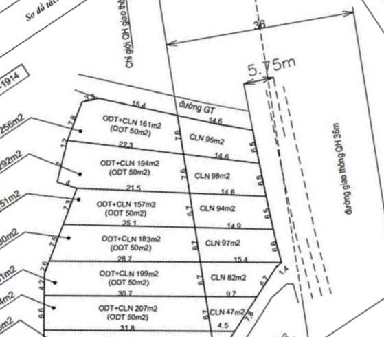
  • Diện tích: 1914m² (chia thành 7 lô, diện tích từ 251m²-293m²)
  • Bố trí: Mặt tiền từ 6.5m-8m, có 50m² đất ở đô thị (ODT) trên mỗi lô.
  • Đặc điểm: 3 mặt tiền, sau quy hoạch ra mặt đường 36m, nở hậu. Hiện trạng nằm trên trục đường nhựa 11.5m, tương lai là đường quy hoạch Vành đai Chũ TL 289B rộng 36m.

Tiện ích xung quanh:

  • Cách Khu du lịch Hồ Thum khoảng 500m, thuận tiện cho việc phát triển du lịch và nghỉ dưỡng.
  • Cách Quốc lộ 31 khoảng 3km, kết nối giao thông thuận tiện đến các khu vực lân cận.
  • Nằm trong khu vực có tiềm năng phát triển đô thị và du lịch theo quy hoạch.
  • Gần các tiện ích thiết yếu của xã Chũ, Huyện Lục Ngạn.

Giá và điều kiện:

  • Giá bán: Từ 980 triệu – 1.13 tỷ đồng / 01 lô

Phù hợp với ai:

Đây là cơ hội vàng cho các nhà đầu tư nhanh nhạy nhìn thấy tiềm năng tăng giá từ quy hoạch, hoặc những ai muốn sở hữu một lô đất đẹp để xây dựng nhà ở lâu dài tại khu vực đang phát triển.

Liên hệ:

Sở hữu ngay lô đất tiềm năng này để đón đầu sự phát triển!

Tổng Kho BĐS luôn sẵn sàng đồng hành cùng bạn trên hành trình tìm kiếm bất động sản phù hợp nhất.

Liên hệ ngay để được chuyên viên tư vấn và hỗ trợ nhanh nhất!

TongkhoBDS.com – Kho dữ liệu Bất động sản lớn nhất Việt Nam

Địa chỉ: 51 Kim Mã, Ba Đình, Hà Nội

Hotline: 1900.988.998

Email: cskh@tongkhobds.com

0
So sánh