Property main image
3 ảnh
Đã copy mã tin!

Đất nền Ninh Bình 45.5m² giá 1.6 tỷ - Vị trí trung tâm thuận lợi!

1.6 tỷ
45 m² - 36 triệu/m²

Ninh Bình, Ninh Bình

5 tháng trước
Loại
Bán đất
Diện tích
45 m²

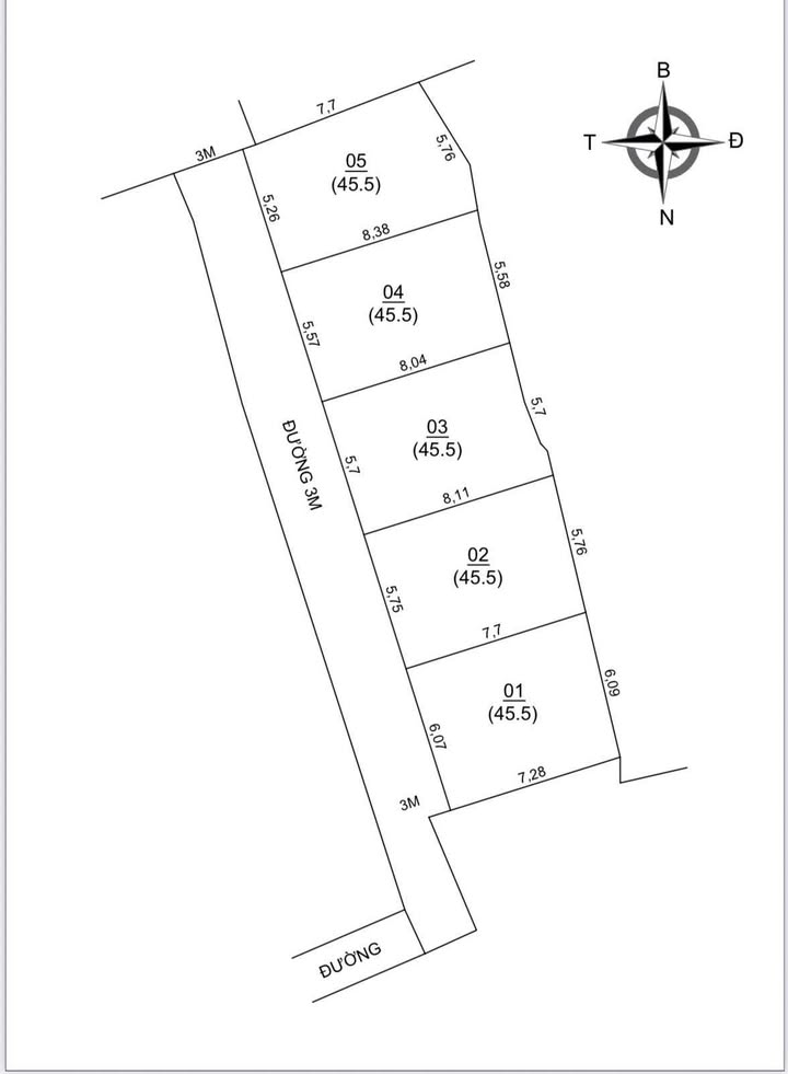
Chắc chắn bạn sẽ không muốn bỏ lỡ cơ hội sở hữu 3 lô đất liền kề tại đường Nam Thành, Ninh Bình. Đây là một vị trí tuyệt vời cho những ai đang tìm kiếm một nơi an cư hoặc đầu tư sinh lời.

Thông tin chi tiết:

  • Diện tích: 45.5m² mỗi lô
  • Bố trí: Mặt tiền hơn 5.5m, ngõ 3m cụt nông
  • Đặc điểm: Ô tô đậu cách nhà chỉ 150m, vị trí trung tâm thành phố

Tiện ích xung quanh:

  • Gần trường học và các cơ sở giáo dục, thuận tiện cho con em đi học
  • Cách chợ và khu mua sắm chỉ vài phút đi bộ
  • Tiện lợi di chuyển đến các trục đường chính và các khu vực lân cận
  • Gần các cơ sở y tế, đảm bảo an tâm cho gia đình

Giá và điều kiện:

  • Giá bán: 1.6 tỷ VND/lô

Phù hợp với ai:

Đất nền này rất phù hợp cho các gia đình trẻ, những ai muốn đầu tư lâu dài hoặc tìm kiếm một nơi an cư lý tưởng tại Ninh Bình.

Liên hệ:

Hãy nhanh tay liên hệ để không bỏ lỡ cơ hội sở hữu lô đất đẹp này!

Tổng Kho BĐS luôn sẵn sàng đồng hành cùng bạn trên hành trình tìm kiếm bất động sản phù hợp nhất.

Liên hệ ngay để được chuyên viên tư vấn và hỗ trợ nhanh nhất!

TongkhoBDS.com – Kho dữ liệu Bất động sản lớn nhất Việt Nam

Địa chỉ: 51 Kim Mã, Ba Đình, Hà Nội

Hotline: 1900.988.998

Email: cskh@tongkhobds.com

0
So sánh