Property main image
4 ảnh
Đã copy mã tin!

Đất nền Quận 12 454m² 45 tỷ - Tiềm năng tăng giá

45 tỷ
454 m² - 99 triệu/m²

Phường An Phú Đông, Quận 12, Thành phố Hồ Chí Minh

3 ngày trước
Loại
Bán đất
Diện tích
454 m²

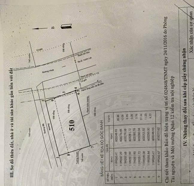
Đất thổ cư 454m² đối diện Vạn Phúc City, hai mặt thoáng ven sông, tiềm năng tăng giá rõ rệt.

Thông tin chi tiết:

  • Diện tích:454m²
  • Bố trí:16m × 28.5m, hầm + trệt + lửng + 4 lầu + sân thượng dễ triển khai
  • Đặc điểm:2 mặt đường, khu vực yên tĩnh, sổ đỏ chính chủ sẵn sàng xây dựng

Tiện ích xung quanh:

  • Đối diện khu đô thị Vạn Phúc City, đầy đủ tiện nghi thương mại
  • Chợ An Phú Đông cách vài phút, thuận tiện mua sắm hàng ngày
  • Bệnh viện Quận 12 chỉ khoảng 2km, đảm bảo chăm sóc sức khỏe
  • Trường THCS An Phú Đông và các cấp học lân cận phục vụ học sinh trong khu vực
  • Trung tâm Y tế Quận 12 giữ gìn sức khỏe cộng đồng ngay gần, phù hợp khách dài hạn

Giá và điều kiện:

  • Giá bán/thuê:45 tỷ

Phù hợp với ai:

Đây là điểm vàng cho nhà đầu tư muốn xây biệt thự ven sông, căn hộ dịch vụ hay tòa nhà cho thuê, giữ tài sản dài hạn tại Quận 12.

Liên hệ:

Liên hệ đội ngũ Trung Villa Luxury để nhận thông tin pháp lý sổ hồng rõ ràng và lịch dẫn xem thực địa.

Tổng Kho BĐS luôn sẵn sàng đồng hành cùng bạn trên hành trình tìm kiếm bất động sản phù hợp nhất.

Liên hệ ngay để được chuyên viên tư vấn và hỗ trợ nhanh nhất!

TongkhoBDS.com – Kho dữ liệu Bất động sản lớn nhất Việt Nam

Địa chỉ: 51 Kim Mã, Ba Đình, Hà Nội

Hotline: 1900.988.998

Email: cskh@tongkhobds.com

0
So sánh