Property main image
6 ảnh
Đã copy mã tin!

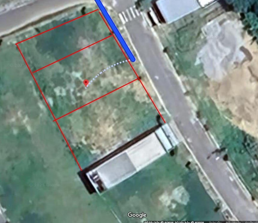
Đất nền Thạnh Mỹ 90m² chỉ 570 triệu - Tiềm năng tăng giá!

570 triệu
90 m² - 6 triệu/m²

Thị trấn Thạnh Mỹ, Huyện Nam Giang, Quảng Nam

1 tháng trước
Loại
Bán nhà riêng
Diện tích
90 m²

Bạn đang tìm kiếm một lô đất nền tiềm năng tại trung tâm Thị trấn Thạnh Mỹ, Nam Giang, Quảng Nam? Cơ hội vàng để sở hữu ngay mảnh đất vuông vức, pháp lý rõ ràng với mức giá cực kỳ hấp dẫn!

Thông tin chi tiết:

  • Diện tích:90m²
  • Bố trí:Lô đất vuông vức, mặt tiền đường nhựa rộng 5m5, sát Quốc lộ 14B.
  • Đặc điểm:Đất thổ cư, sổ hồng chính chủ, sang tên nhanh chóng. Vị trí đắc địa ngay trung tâm thị trấn, khu vực đang phát triển mạnh mẽ.

Tiện ích xung quanh:

  • Tiếp giáp Quốc lộ 14B, giao thông thuận tiện kết nối các khu vực lân cận.
  • Gần Trường THPT Nam Giang, đảm bảo tiện ích giáo dục cho con em.
  • Cách Chợ Thạnh Mỹ chỉ vài phút di chuyển, thuận tiện mua sắm hàng ngày.
  • Nằm trong khu dân cư sầm uất, an ninh đảm bảo.
  • Gần Trung tâm Y tế huyện Nam Giang, thuận tiện chăm sóc sức khỏe.
  • Dễ dàng tiếp cận các cơ quan hành chính như UBND Thị trấn Thạnh Mỹ.

Giá và điều kiện:

  • Giá bán/thuê:570 triệu

Phù hợp với ai:

Lô đất lý tưởng cho các gia đình mong muốn an cư lâu dài tại trung tâm Thị trấn Thạnh Mỹ, hoặc nhà đầu tư thông thái tìm kiếm cơ hội sinh lời vượt trội từ khu vực đang phát triển mạnh mẽ.

Liên hệ:

Đừng bỏ lỡ cơ hội sở hữu lô đất vàng này! Liên hệ ngay để được tư vấn chi tiết và xem đất trực tiếp, nhận ưu đãi tốt nhất.

Tổng Kho BĐS luôn sẵn sàng đồng hành cùng bạn trên hành trình tìm kiếm bất động sản phù hợp nhất.

Liên hệ ngay để được chuyên viên tư vấn và hỗ trợ nhanh nhất!

TongkhoBDS.com – Kho dữ liệu Bất động sản lớn nhất Việt Nam

Địa chỉ: 51 Kim Mã, Ba Đình, Hà Nội

Hotline: 1900.988.998

Email: cskh@tongkhobds.com

Vị trí

Địa chỉ: Thị Trấn Thạnh Mỹ, Huyện Nam Giang, Quảng Nam
Tỉnh/Thành: Quảng Nam
Quận/Huyện: Huyện Nam Giang
Phường/Xã: Thị trấn Thạnh Mỹ
0
So sánh