Property main image
3 ảnh
Đã copy mã tin!

Đất thổ cư 5.000m² tại Chơn Thành - Giá chỉ 2 tỷ, đầu tư sinh lời!

2 tỷ
5000 m² - 0 triệu/m²

Chơn Thành, Thị xã Chơn Thành, Bình Phước

3 tháng trước
Loại
Bán đất
Diện tích
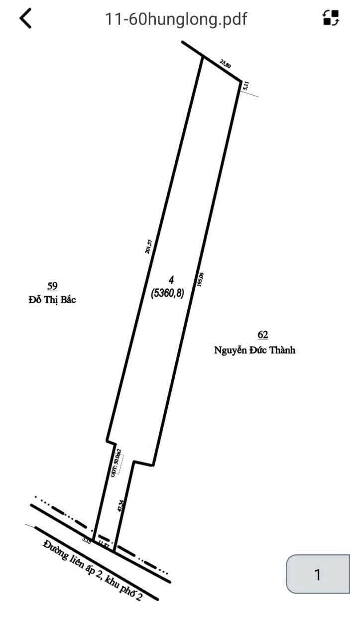
5000 m²

Chính chủ cần bán gấp lô đất thổ cư 5.000m² tại khu phố 2, phường Chơn Thành, tỉnh Bình Phước. Với vị trí đắc địa, lô đất nằm ngay trung tâm, cách chợ Chơn Thành chỉ hơn 1km, thuận tiện cho việc mua sắm và kinh doanh.

Thông tin chi tiết:

  • Diện tích: 5000m²
  • Bố trí: Đất ở, có cao su trên đất như hình
  • Đặc điểm: Sổ hồng chính chủ, pháp lý rõ ràng

Tiện ích xung quanh:

  • Cách chợ Chơn Thành 1km, thuận tiện cho việc mua sắm
  • Gần trường học cấp 1, 2 và mầm non, phù hợp cho gia đình có trẻ nhỏ
  • Dễ dàng di chuyển đến các khu công nghiệp lớn trong khu vực
  • Vị trí hạ tầng phát triển, tiềm năng tăng giá cao trong tương lai

Giá và điều kiện:

  • Giá bán: 2 tỷ VND

Phù hợp với ai:

Lô đất này rất thích hợp cho những ai muốn đầu tư dài hạn, xây dựng nhà ở hoặc kinh doanh, phát triển dự án trong tương lai.

Liên hệ:

Đừng bỏ lỡ cơ hội sở hữu lô đất đẹp này! Liên hệ ngay để biết thêm chi tiết và đặt lịch xem đất.

Tổng Kho BĐS luôn sẵn sàng đồng hành cùng bạn trên hành trình tìm kiếm bất động sản phù hợp nhất.

Liên hệ ngay để được chuyên viên tư vấn và hỗ trợ nhanh nhất!

TongkhoBDS.com – Kho dữ liệu Bất động sản lớn nhất Việt Nam

Địa chỉ: 51 Kim Mã, Ba Đình, Hà Nội

Hotline: 1900.988.998

Email: cskh@tongkhobds.com

0
So sánh