Đất thổ cư phường Thịnh Đán Thái Nguyên 151m² giá 1.1 tỷ - Cơ hội đầu tư hấp dẫn!
Phường Thịnh Đán, Thành phố Thái Nguyên, Thái Nguyên
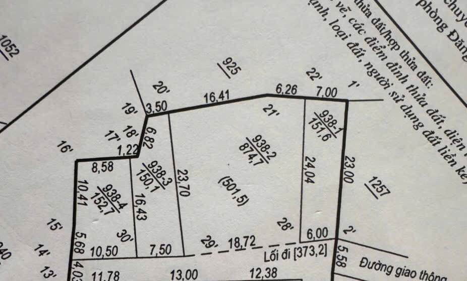
Cơ hội sở hữu lô đất thổ cư với diện tích 151m² tại phường Thịnh Đán, Thái Nguyên. Đây là khu vực phát triển mạnh mẽ, gần khách sạn Legend Hill, thuận tiện cho việc di chuyển và đầu tư.
Thông tin chi tiết:
- Diện tích:151m²
- Bố trí:Mặt tiền 6m, nở hậu 7m
- Đặc điểm:Hướng Đông Nam, đất thổ cư 100%
Tiện ích xung quanh:
- Gần khách sạn Legend Hill, thuận tiện cho việc nghỉ dưỡng và lưu trú
- Cách đường Quang Trung chỉ 200m, dễ dàng kết nối giao thông
- Gần khu dân cư đông đúc, thuận lợi cho việc kinh doanh
- Các tiện ích như chợ, trường học, bệnh viện trong bán kính 1km
Giá và điều kiện:
- Giá bán:1.1 tỷ VND
Phù hợp với ai:
Lô đất này rất phù hợp cho các nhà đầu tư bất động sản, hoặc gia đình có nhu cầu xây dựng nhà ở trong khu vực phát triển.
Liên hệ:
Đừng bỏ lỡ cơ hội này! Liên hệ ngay để biết thêm thông tin và đặt lịch xem đất.
Tổng Kho BĐS luôn sẵn sàng đồng hành cùng bạn trên hành trình tìm kiếm bất động sản phù hợp nhất.
Liên hệ ngay để được chuyên viên tư vấn và hỗ trợ nhanh nhất!
TongkhoBDS.com – Kho dữ liệu Bất động sản lớn nhất Việt Nam
Địa chỉ: 51 Kim Mã, Ba Đình, Hà Nội
Hotline: 1900.988.998
Email: cskh@tongkhobds.com
