Property main image
5 ảnh
Đã copy mã tin!

Đất Vàng Mặt Tiền Mai Bá Hương, Bình Chánh - 1373m² Thổ Cư, Sổ Đỏ

12.088 tỷ
1373 m² - 9 triệu/m²

Xã Lê Minh Xuân, Huyện Bình Chánh, Thành phố Hồ Chí Minh

2 ngày trước
Loại
Bán đất
Diện tích
1373 m²

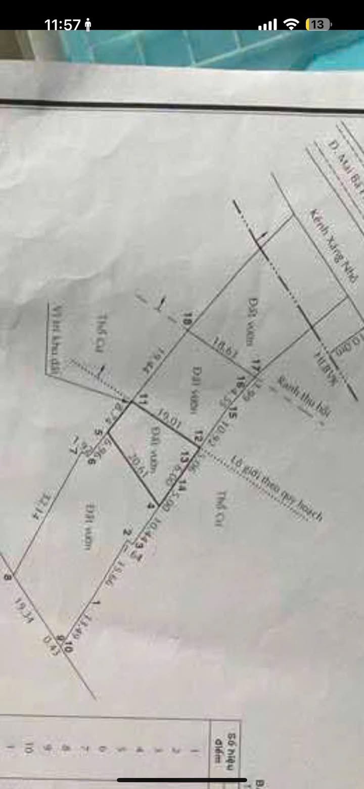
Bán Đất Vàng Mặt Tiền Đường 20m Mai Bá Hương, Bình Chánh - Cơ Hội Đầu Tư Sinh Lời Vượt Trội!

Sở hữu ngay lô đất mặt tiền đường Mai Bá Hương rộng 20m, kết nối trực tiếp Vành đai 3 - cửa ngõ giao thương quan trọng của khu vực. Vị trí đắc địa tại xã Lê Minh Xuân, huyện Bình Chánh, TP. Hồ Chí Minh, đây là cơ hội hiếm có cho nhà đầu tư thông thái.

Thông tin chi tiết:

  • Diện tích: 1373m² (kích thước 20m x 68.6m, đã trừ lộ giới)
  • Bố trí: Đất ở quy hoạch, có sẵn 240m² thổ cư, pháp lý Sổ đỏ công nhận đủ.
  • Đặc điểm: Mặt tiền đường nhựa 20m, khu dân cư hiện hữu sầm uất, liền kề khu công nghiệp lớn, gần sông lớn, phong thủy vượng khí.

Tiện ích xung quanh:

  • Nằm ngay mặt tiền đường Mai Bá Hương, kết nối giao thông thuận tiện.
  • Liền kề Khu công nghiệp Lê Minh Xuân, tiềm năng phát triển kinh tế cao.
  • Gần sông lớn, mang lại không khí trong lành và cảnh quan thoáng đãng.
  • Khu dân cư hiện hữu, an ninh đảm bảo và đầy đủ tiện ích sinh hoạt.
  • Dễ dàng di chuyển đến các tuyến đường huyết mạch như Vành đai 3.

Giá và điều kiện:

  • Giá bán: 12.088 tỷ VND (tương đương 8.8 triệu/m²)

Phù hợp với ai:

Lô đất lý tưởng để xây dựng biệt thự vườn sang trọng, nhà xưởng sản xuất kinh doanh, hoặc phát triển mô hình nhà trọ cho thuê, đáp ứng nhu cầu đa dạng của các nhà đầu tư.

Liên hệ:

Đừng bỏ lỡ cơ hội sở hữu lô đất mặt tiền đắc địa tại Bình Chánh! Liên hệ ngay để nhận tư vấn chi tiết và xem đất trực tiếp.

Tổng Kho BĐS luôn sẵn sàng đồng hành cùng bạn trên hành trình tìm kiếm bất động sản phù hợp nhất.

Liên hệ ngay để được chuyên viên tư vấn và hỗ trợ nhanh nhất!

TongkhoBDS.com – Kho dữ liệu Bất động sản lớn nhất Việt Nam

Địa chỉ: 51 Kim Mã, Ba Đình, Hà Nội

Hotline: 1900.988.998

Email: cskh@tongkhobds.com

0
So sánh