Property main image
3 ảnh
Đã copy mã tin!

Nhà Gò Vấp 36m² giá 4.25 tỷ - Vị trí vàng tương lai

4.25 tỷ
36 m² - 118 triệu/m²

14, Gò Vấp, Hồ Chí Minh

4 tháng trước
Loại
Bán nhà riêng
Phòng ngủ
2 Phòng
Phòng tắm
2 Phòng
Diện tích
36 m²

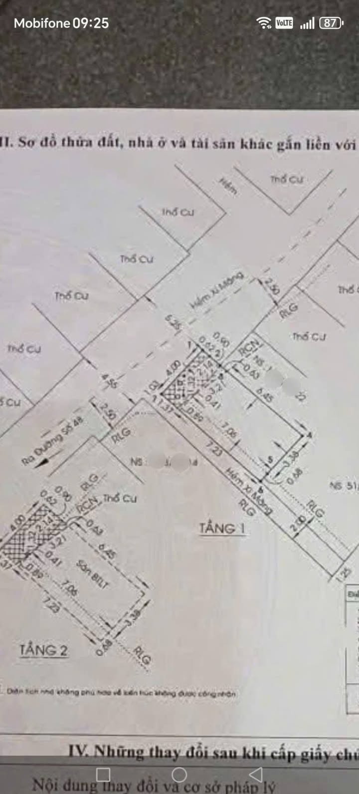
Chào mừng bạn đến với cơ hội sở hữu ngôi nhà 2 mặt hẻm thoáng đãng tại đường Quang Trung, phường 14, quận Gò Vấp. Đây là một sản phẩm hiếm có với vị trí vàng tương lai, hứa hẹn đem lại nhiều tiềm năng phát triển.

Thông tin chi tiết:

  • Diện tích: 36m²
  • Bố trí: 2 phòng ngủ, 2 nhà vệ sinh, trệt và lầu
  • Đặc điểm: Hẻm trước nhà rộng 6m, hẻm thông, không khí trong lành

Tiện ích xung quanh:

  • Gần bờ kênh đang được hoàn thiện, tạo không gian sống thoáng đãng
  • Kế bên siêu thị Emart, thuận tiện cho việc mua sắm hàng ngày
  • Cách chợ Gò Vấp chỉ 1.5km, dễ dàng tiếp cận các dịch vụ cần thiết
  • Gần các trường học nổi tiếng: Trường THPT Gò Vấp, Trường Tiểu học Nguyễn Đình Chiểu
  • Di chuyển thuận lợi đến các quận lân cận qua các tuyến đường lớn

Giá và điều kiện:

  • Giá bán: 4.250 triệu VND (có thương lượng)

Phù hợp với ai:

Ngôi nhà lý tưởng cho gia đình trẻ hoặc những ai tìm kiếm một không gian sống yên tĩnh, gần gũi với thiên nhiên, đồng thời cũng không thiếu các tiện ích hiện đại.

Liên hệ:

Đừng bỏ lỡ cơ hội này! Hãy liên hệ ngay để biết thêm thông tin và đặt lịch xem nhà!

Tổng Kho BĐS luôn sẵn sàng đồng hành cùng bạn trên hành trình tìm kiếm bất động sản phù hợp nhất.

Liên hệ ngay để được chuyên viên tư vấn và hỗ trợ nhanh nhất!

TongkhoBDS.com – Kho dữ liệu Bất động sản lớn nhất Việt Nam

Địa chỉ: 51 Kim Mã, Ba Đình, Hà Nội

Hotline: 1900.988.998

Email: cskh@tongkhobds.com

0
So sánh