Golden City 10
7 Phố Mai Hắc Đế, Phường Quán Bàu, Vinh, Nghệ An., Canh Vinh, Trà Vinh, Trà Vinh
Tổng quan dự án
Tổng quan
Thông tin dự án Golden City 10
Golden City 10 được đầu tư bởi Công ty CP Golden City với quy mô khoảng 4 ha tại Vinh, Nghệ An. Dự án được quy hoạch một cách bài bản với thiết kế hiện đại và cơ sở hạ tầng hoàn thiện, cộng thêm việc tọa lạc trong khu dân cư sầm uất nơi tập trung các hoạt động giao thương, buôn bán, giải trí và dịch vụ nên sẽ đáp ứng một cách dễ dàng các nhu cầu từ sinh hoạt đến vui chơi giải trí của cư dân.
- Tên dự án: Golden City 10
- Chủ đầu tư: Công ty CP Golden City
- Đơn vị thiết kế: Công ty CP Đầu tư Nam Á
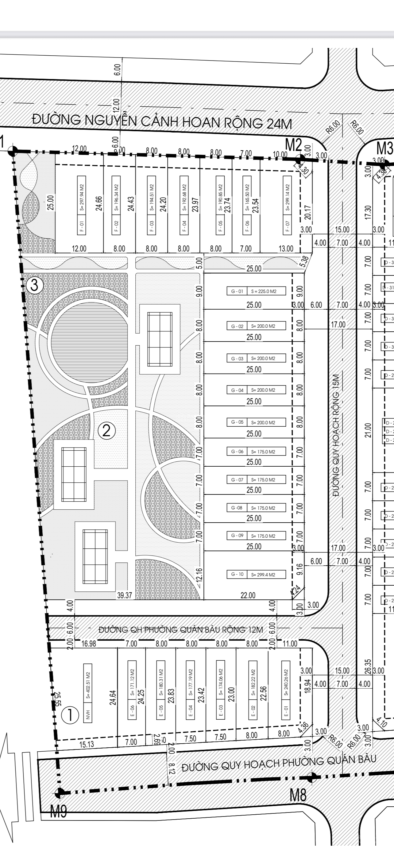
- Tổng diện tích khu đất: 41.205,22m2
+ Đất nhà ở cao tầng: 7.023,74m2
+ Đất nhà ở thấp tầng (130 lô): 24.665,38m2
+ Đất đường giao thông: 9.133,59m2
+ Đất nhà văn hóa: 402,51m2
- Thời gian thực hiện dự án: 3 năm
- Tổng vốn đầu tư: 342.405.470.000 đồng

Phối cảnh tổng thể dự án Golden City 10
Hạ tầng - Quy hoạch
Với mong muốn đem đến một không gian sống tiện lợi, thoải mái cho các chủ nhân tương lai, chủ đầu tư đã xây dựng và thiết kế Khu dân cư Golden City 10 một cách bài bản và khoa học với tổng diện tích công viên cây xanh và đất giao thông chiếm 22,12% diện tích toàn khu. Bên cạnh hệ thống hạ tầng kỹ thuật được đầu tư đồng bộ với viễn thông, công nghệ thông tin bằng cáp quang, điện, nước, thoát nước hoàn chỉnh, dự án còn nằm liền kề với các tiện ích gồm trường học, chợ, bệnh viện, khu trung tâm giải trí, công viên cây xanh giúp cư dân thoải mái tận hưởng những tiện nghi của cuộc sống hiện đại.

Tiện ích tại dự án Golden City 10
Vị trí
Khu dân cư Golden City 10 tọa lạc tại số 7 đường Mai Hắc Đế, phường Quán Bàu, TP. Vinh, Nghệ An, ngay cửa ngõ phía Đông Bắc thành phố nên được thừa hưởng không ít lợi thế về giao thông:
- Tiếp giáp đường Nguyễn Sỹ Sách, Nguyễn Cảnh Hoan, Hoàng Văn Thụ
- Gần ga Vinh
- Đến sân bay Vinh trong 5 phút chạy xe
- Kết nối đến bệnh viện Nội Tiết, Trường THPT Dân tộc bán trú, chợ Ga, Trung tâm hội nghị, Chi cục quản lý thị trường... chỉ trong bán kính 1km
- Phía Đông giáp đường Mai Hắc Đế
- Phía Nam tiếp giáp đất dự án của Tổng công ty hợp tác Quân khu 4
- Phía Bắc giáp đường Nguyễn Cảnh Hoan
- Phía Tây tiếp giáp khu dân cư, Công ty Thái Hưng, Công ty TNHH Đức Đạt

Vị trí dự án Golden City 10
Mặt bằng dự án
Mặt bằng thứ 1
Mặt bằng thứ 2
Mặt bằng thứ 3
Mặt bằng thứ 4
Mặt bằng thứ 5
Mặt bằng thứ 6
Mặt bằng thứ 7